来势汹汹!仙桃南城、城西、老城区三宗地挂牌,更有一处涉及拆迁...
根据《中华人民共和国土地管理法》、《中华人民共和国城市房地产管理法》、《招标拍卖挂牌出让国有建设用地使用权规定》及相关法律的规定,经仙桃市人民政府批准,仙桃市自然资源和规划局决定以拍卖方式公开出让仙地[2020]196号等三个地块的国有建设用地使用权。本次出让活动由仙桃市土地交易中心组织实施。现将有关事项公告如下:
一、出让宗地基本情况

注:具体规划条件以规划条件通知书为准,土地面积以实测为准。
宗地具体位置和规划指标详见出让文件中《出让国有土地使用权审批图》和《仙桃市国有建设用地使用权出让项目设计条件通知书》。
二、竞买资格及要求
中华人民共和国境内具备以下条件的法人均可申请,申请人需单独申请,不接受联合申请。
1.土地竞买申请人不存在欠缴土地出让金、闲置土地、囤地炒地、不履行土地使用合同情形;
2.仙地[2020]179号竞得人需无偿还建1626.35㎡住房给原北坝生资仓库22户搬迁户,在竞得土地后,优先建设还建房。竞得人在竞买时需与市土地储备中心签订还建协议,并缴纳200万元还建保证金,待履行完还建协议并办理完相关证件后退还。还建协议见附件。参与本宗地竞买的申请人应于2021年5月28日上午9时至2021年6月6日下午5时前,在仙桃市国土资源网上交易系统报名,并足额交纳竞买保证金方能取得竞买资格。
本次拍卖出让采取网上报名、现场竞拍模式(因仙桃市国土资源网上交易系统未开发网上拍卖出让模块,网上报名延用该系统挂牌出让模块,仅使用申购和交纳竞买保证金功能)。系统中国有建设用地使用权“挂牌公告信息”栏目中的“公告截止时间、挂牌起始时间、挂牌截止时间”及“查看资源详细信息”栏目中“报价开始时间”均无效,具体时间要求以拍卖公告和拍卖须知为准。本次拍卖不接受现场报名,网上不接受报价且网上报价无效。竞买人可在2021年5月18日至2021年6月6日登录仙桃市国土资源网上交易系统(www.xtgtjy.com),下载本次拍卖出让宗地的相关资料及文件。
三、参与报名
1、竞买申请人取得有效的数字证书和电子签章,方能参与网上申请和交纳竞买保证金。详情请登录网上交易系统网站查看数字证书和电子签章办理指南。
数字证书和电子签章领取后,竞买申请人登记信息有变化的应当及时到数字证书服务机构进行信息变更。竞买申请人应当妥善保管好密码及数字证书,如有遗失或者损毁数字证书、遗忘或者泄露密码的,应当及时到原办理机构办理挂失、并重新申领。
2、在提交宗地竞买申请之前,竞买申请人应当仔细阅读拍卖公告、出让须知和其他相关文件。
3、本宗土地状况由竞买人自行实地踏勘,竞买申请一经提交,即视为对宗地信息、拍卖公告、出让须知、其他相关文件、宗地现状和可能存在的风险等无异议并完全接受。
4、竞买人须在公告规定的申请期内登录网上交易系统提交竞买申请,网上交易系统将会自动生成唯一的随机竞买保证金帐号。竞买人应当按照网上交易系统网站中仙桃市国有建设用地使用权网上交易保证金支付指南,在规定时间内交纳足额保证金。竞买保证金应当以竞买申请人的身份一次性交纳。每次申请及交纳竞买保证金只对应一宗地块,竞买多宗地块的,应当分别提交申请,分别交纳竞买保证金。
5、竞买申请人在规定时间内足额交纳了竞买保证金至指定帐户的(以保证金到达指定帐户时间为准),系统会自动生成《仙桃市国有建设用地使用权网上交易竞买资格确认书》。竞买申请人没有按时交纳竞买保证金或未足额交纳竞买保证金的,不能获得竞买资格。
四、确认竞买人资格
已在仙桃市国土资源网上交易系统获取《仙桃市国有建设用地使用权网上交易竞买资格确认书》的竞买人,须于2021年6月7日上午8:30-9:45之前到仙桃市公共资源交易监督管理局进行现场资格确认并领取《拍卖竞买资格确认书》和号牌,不按时参与现场资格确认即视为自动放弃现场竞拍资格。
竞买人现场竞拍资格审查需提交公司网上交易数字证书、公司营业执照、法定代表人身份证明,参加现场竞拍为委托代理人的,需同时提交授权委托书及委托代理人有效身份证明(审查原件,提交复印件2份并盖公章)。
五、宗地起拍价及增价幅度

本次拍卖宗地的起拍价及增价幅度由拍卖师现场宣布,拍卖师在拍卖现场可根据具体情况对增价幅度自行调整。
六、拍卖程序
(一)拍卖会程序
1.拍卖师宣布拍卖会开始。
2.拍卖师、记录员就位。
3.拍卖师宣布竞买人到场情况。出让人现场将密封的拍卖底价交给拍卖师,拍卖师现场开启密封件。
4.拍卖师介绍拍卖地块的位置、面积、用途、使用年限、规划指标要求、建设时间等。
5.拍卖师宣布拍卖宗地的起拍价、增价规则和增价幅度,并明确提示是否设有底价。在拍卖过程中拍卖师可根据现场情况调整增价幅度。
6.拍卖师报出起拍价,宣布竞价开始。
7.竞买人举牌应价或者报价。
8.拍卖师确认该竞买人应价或者报价后继续竞价。
9.拍卖师连续三次宣布同一应价或报价而没有人再应价或出价,且该价格不低于底价的,拍卖师以落槌方式表示拍卖成交,并宣布最高应价者为竞得入选人。成交结果对拍卖人、竞得入选人和出让人均具有法律效力。最高应价或报价低于底价的,拍卖师宣布拍卖终止。
(二)拍卖结束后,仙桃市土地交易中心与竞得入选人现场签订《竞得入选人确认书》,竞得入选人持《竞得入选人确认书》以及仙桃市房产局资格后审核实意见,在3个工作日内与仙桃市土地交易中心签订《拍卖成交确认书》,自签订《拍卖成交确认书》之日起3个工作日内与出让人签订《国有建设用地使用权出让合同》。竞得入选人拒绝签订《竞得入选确认书》、《拍卖成交确认书》和《国有建设用地使用权出让合同》的也不能对抗拍卖成交结果的法律效力。
(三)出让结果公布
仙桃市自然资源和规划局将在此次国有建设用地使用权拍卖会结束后10个工作日内在中国土地市场网上公示本次拍卖出让结果。
七、竞价规则
1.本次拍卖采用增价拍卖方式,按价高者得的原则确定竞得人。
2.竞买人可以举牌方式应价,也可口头报价,但报价的增价幅度不得小于拍卖主持人宣布或调整的增价幅度,竞买人一经应价或报价不可撤回。
3.本次拍卖设有底价,最后应价或报价未达到底价时,拍卖主持人终止拍卖活动。
八、注意事项
1.申请人须全面阅读有关拍卖出让文件,如有疑问可以在拍卖会开始日以前用书面方式向仙桃市自然资源和规划局提出咨询。竞买人的竞买申请一经受理确认后,即视为竞买人对拍卖出让文件及地块的现状和瑕疵无异议并全部接受,并对有关承诺承担法律责任。
2.竞买申请人竞得土地后,拟成立新公司进行开发建设的,应在申请书中明确新公司出资构成、成立时间等内容。仙桃市自然资源和规划局将与竞得人签订《国有建设用地使用权出让合同》,在竞得人按约定办理完新公司注册登记手续后,再与新公司签订《国有建设用地使用权出让合同变更协议》。如在规定时间内,新公司注册登记手续完成,仙桃市自然资源和规划局可直接与新公司签订《国有建设用地使用权出让合同》。
3.竞得人交纳的竞买保证金在拍卖结束后转作受让地块的履约定金。在签定《国有建设用地使用权出让合同》后即转作受让土地价款。未竞得人交纳的竞买保证金在拍卖活动结束后的5个工作日内原路予以退还,不计利息。
4.拍卖成交价款仅包含土地出让金,土地交易契税及其他未作说明的税费由竞得人另行依法交纳。竞得人须在《国有建设用地使用权出让合同》签订之日起1个月内付清出让合同价款的50%,剩余部分3个月内缴清。竞得人付清全部成交价款后,依法申请办理土地登记,领取相关土地权利证书。出让人按合同约定时间内以现状土地条件交付土地。
5.竞得人应向仙桃市公共资源交易监督管理局据实支付交易平台信息服务费,向土地评估公司按每宗地5万元支付土地评估费,向拍卖公司支付现场拍卖活动主持佣金按每宗地成交价的0.6‰,且单宗最高不超过20万元标准支付。
有下列情形之一的,仙桃市土地交易中心将发布中止或者终止拍卖出让公告,并中止或者终止拍卖出让活动:
(1)司法机关、监察等行政机关依法要求中止或者终止出让活动的;
(2)因相关政策、宗地规划条件等发生变化,对土地使用权有重大影响的;
(3)因不可抗力,交易系统重大故障(包括但不限于线路、系统软硬件、供电等故障),网络被入侵等出让人不可控因素,导致网上交易系统不能正常运行的;
(4)竞买人串通损害国家利益、社会利益或他人合法权益的;
(5)拍卖工作人员私下接触竞买人,足以影响拍卖公正性的;
(6)依法应当中止或者终止出让活动的其他情形。
拍卖出让中止事项消除后,仙桃市土地交易中心将在恢复拍卖出让前2个工作日内在网上交易系统发布恢复拍卖出让公告,重新明确拍卖出让时间,恢复拍卖出让。出让中止前已取得竞买资格的,其竞买资格在本次拍卖出让期内(含中止出让期及恢复出让后)有效。
拍卖出让中止时间一般不超过5天,如因特殊原因不能恢复的可适当延长。但在恢复出让时,应相应延长出让活动相关时间。
拍卖出让终止后,竞买人交纳的竞买保证金,将在终止后5个工作日内原路予以退还,不计利息。
7、因竞买申请人使用的计算机遭遇网络堵塞、病毒入侵、硬件故障或者遗失数字证书、遗忘或者泄露密码等原因不能正常登录网上交易系统进行申请、交纳保证金的,后果由竞买人自行承担,拍卖出让活动不中止也不终止。
8.竞得人有下列行为之一的,出让人有权取消竞得人的竞得资格,其交纳的竞买保证金不予退还,并按相关法律规定追究其责任:
(1)竞得人逾期或拒绝签订《竞得入选人确认书》的;
(2)竞得人逾期或拒绝签订《拍卖成交确认书》的;
(3)竞得人逾期或拒绝签订《国有建设用地使用权出让合同》的;
(4)竞得人在竞买申请时所提交的资料、证明材料有虚假的。
9.参加拍卖活动的人员应遵守现场的纪律,服从工作人员的拍卖活动安排。
10.在对本宗地拍卖之前,仙桃市自然资源和规划局可以通过补充文件的形式对拍卖出让文件内容进行澄清和修改,补充文件视为拍卖出让文件的组成部分,与拍卖出让文件具有同等的法律效力。
11.仙桃市自然资源和规划局对本《拍卖出让须知》有解释权。未尽事宜依照《招标拍卖挂牌出让国有建设用地使用权规定》等相关法律法规办理。
仙桃市土地交易中心
2021年5月17日
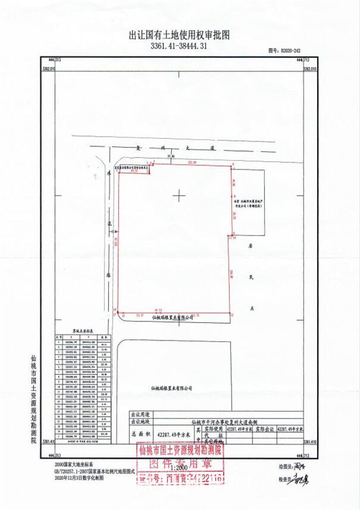
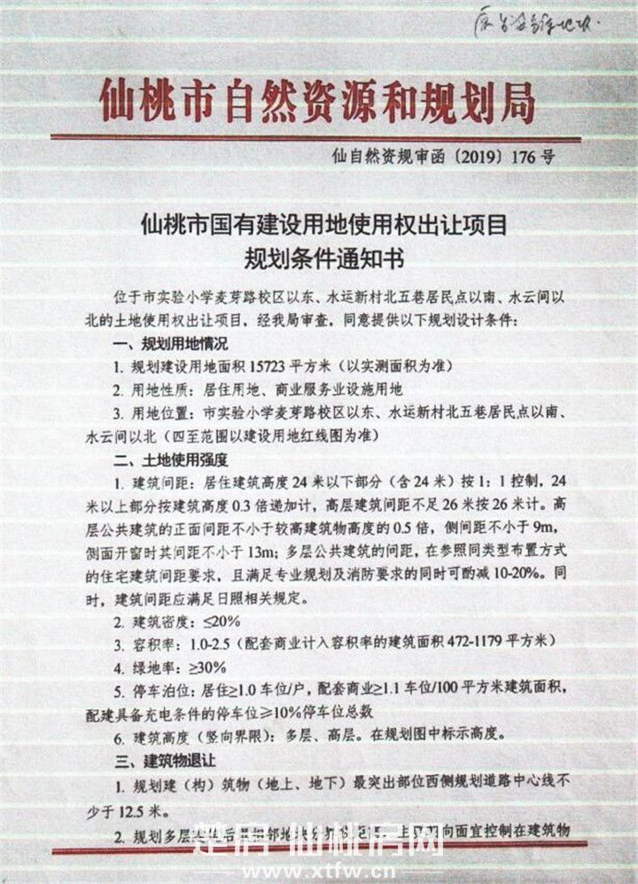
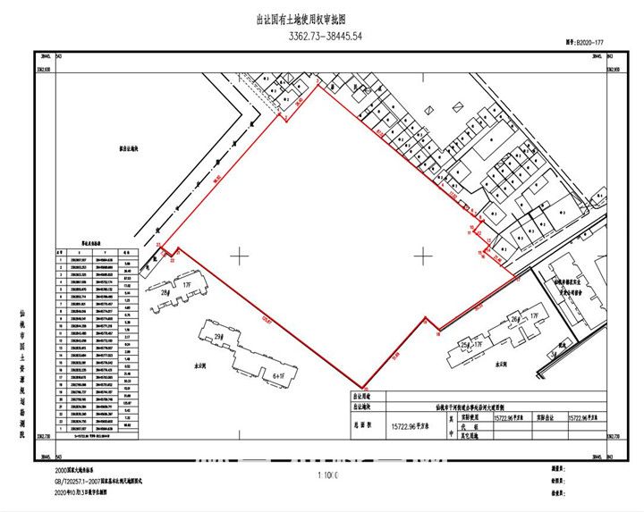
附:182号规划设计条件


182号出让审批图

179号还建协议样本


179号规划设计条件


179号出让审批图

196规划设计条件


196出让审批图

免责声明:
1、 文章图片来源于优秀项目实景等;
2、 因编辑需要,文字图片无必然联系,具体数据以实际交楼为准;
3、我们所发布的所有文章、图片、音视频文件等资料版权归版权所有人所有,部分为原创或转载。如有涉及不能输出不宜上网供大家浏览,或不应无偿使用,请及时通知我们,以迅速采取适当措施,避免给双方造成不必要的经济损失;
4、本网页如无意中侵犯了媒体或个人的知识产权,请来电告知,我们将立即予以删除;
5、本宣传资料为邀约邀请,不作为要约或承诺;
6、本文系广告。